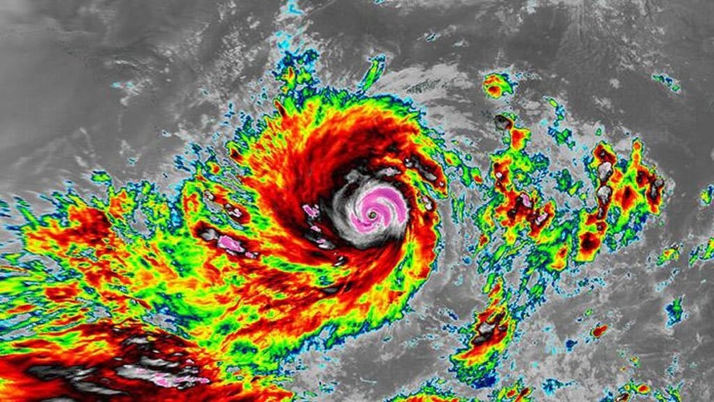
Indonesia dikenal memiliki dua musim utama: musim hujan dan musim kemarau. Namun, pada tahun ini,…
Diapit Dua Bibit Siklon Saat Musim Kemarau
No More Posts Available.
No more pages to load.
Indonesia dikenal memiliki dua musim utama: musim hujan dan musim kemarau. Namun, pada tahun ini,…
No More Posts Available.
No more pages to load.